EKKO_Project™ GPR Software - Core Bundle
Core module: Organize GPR Data & Report Insights
Our Core software enables efficient and intuitive review of GPR data, archiving of findings for future reference, and generation of insightful reports from powerful user-generated images.
Organize your GPR data, view results from different perspectives, and document your findings in meaningful outputs
|
![]() |
|---|
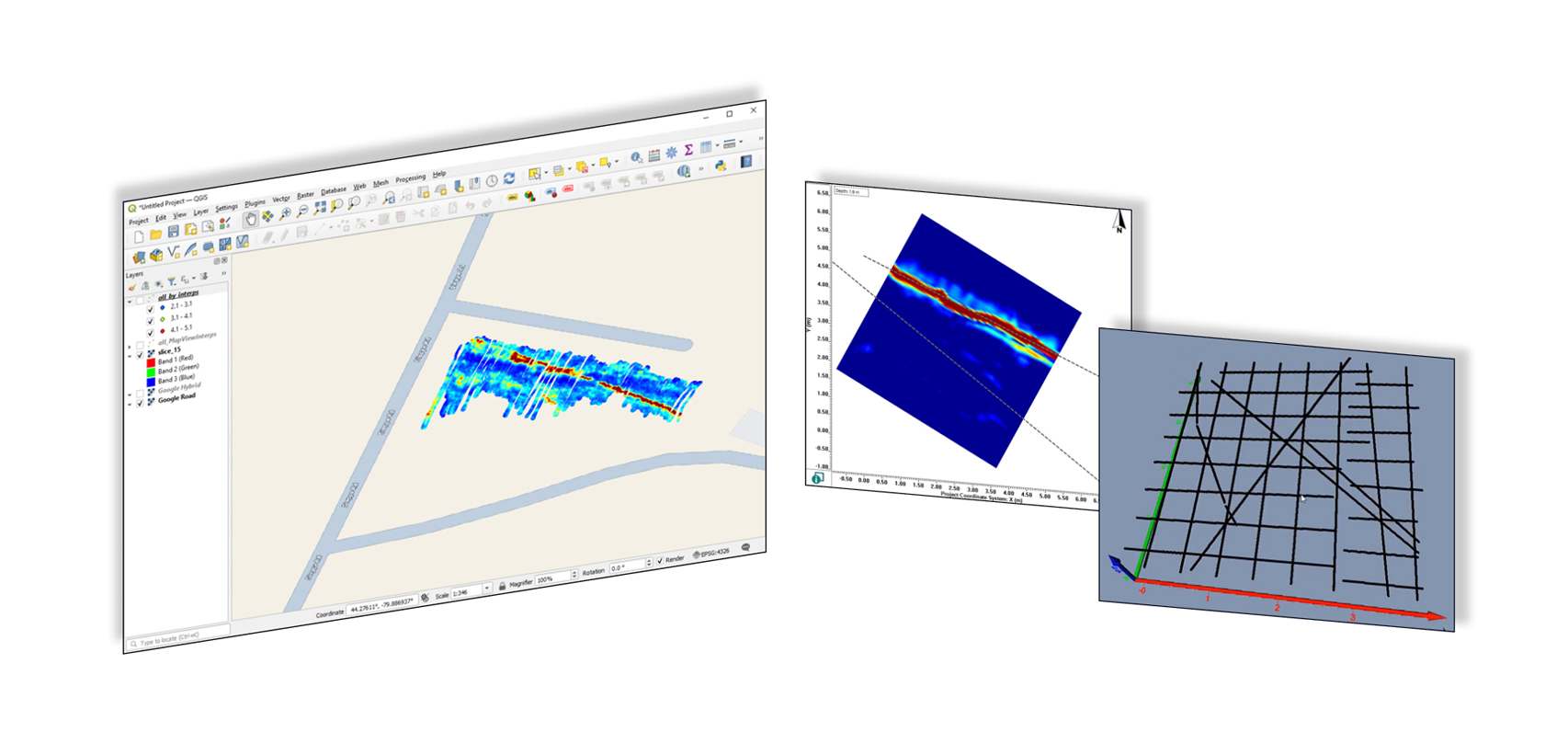
| View and animate depth slices processed in the field in the MapView window. | ![]() |
|---|
|
GPZ Files: GPR data organization made easier – get right to data analysis because everything you need from your GPR project (GPR data, GPS, field screenshots, data images generated by EKKO_Project, photos, survey information) is saved in one single project (GPZ) file. Saving and archiving data could not be easier! |
|---|
| View field interpretations added during data collection in the MapView window | ![]() |
|---|
New V6 R2 FeatureWhile scrolling through depth slices, add MapView Interpretations to linear targets. |
|---|
| Use EKKO_Project to generate data images and save them to the project GPZ file. Then it is simple to combine screenshots, attach photos and saved data images into a GPR Summary report to create a record, in PDF format, of your GPR survey. Data can also other formats (kmz, dxf, PDF and CSV). | ![]() |
|---|
| Google Earth KMZ file that overlays layers of data on the Google Earth image of the survey site:
|
![]() |
|---|
| Spreadsheet CSV of positions and statistics of interpreted GPR targets for further data analysis. | ![]() |
|---|
| CAD DXF files to import interpreted GPR targets into AutoCAD or GIS software. | ![]() |
|---|
| Attach photos, videos, field notes and any other files to your GPR project. This provides an easy way to transfer field notes into an electronic database with your GPR data and provides a complete archive of your results, allowing you to use all the information at your fingertips when analyzing your data. | ![]() |
|---|
| 3D Preview Scroll through grid lines and depth slices together to better understand subsurface targets. | ![]() |
|---|
| Save 3D preview images as a GIF animation file. Animations can be used to help with spotting features in your data, as a marketing tool or as a wow factor in your deliverables. | ![]() |
|---|
![]() |
|---|
| PhotoSlicer allows users to quickly and easily overlay a depth slice image on a photo. This creates stunning visualization of GPR data and is a great addition to any report. | ![]() |
|---|
![]() |
|---|
| For various reasons, GPR grid data often needs to be edited; whether you want to merge multiple grids collected over a large area into one large grid for data processing, combine parallel Line Scans into a grid for SliceView-Grid processing, or correct a mistake made during field collection. | ![]() |
|---|
Grid Editing
Whether you want to merge multiple grids collected over a large area into one large grid for data processing or combine parallel Line Scans into a grid for SliceView-Grid processing, or perhaps you need to correct a mistake made during field collection. You can now do so quickly in EKKO_Project. By combining your data into grids, you can make use of SliceView data visualization tools.
| Geo-reference data: Add global coordinates to project data collected without GPS. | ![]() |
|---|
| Export GPR lines to other formats to open in other software: Point Cloud, DT1 and HD, SEG-Y, Text. | ![]() |
|---|
| Average Trace Amplitude (ATA) Plots provide a powerful tool for:
|
![]() |
|---|
| Average Frequency Spectrum (AFS) plots show the GPR frequency content and signal bandwidth.
|
![]() |
|---|
| Trace Plots show individual GPR traces (A Scans).
|
![]() |
|---|
Included in Examine, Reveal, 3D Reveal, Suite, and 3D Suite Bundles
| Shipping | This Item Ships from Fremantle, Perth, Western Australia |
Please allow 2 - 10 days for your order to arrive.
Although Most Stocked Products will generally Ship Overnight. We source products from all over the world to bring you epic offers and the lowest prices. This means sometimes you have to wait a little longer to get your order but it's always worth it!
Returns are easy.
simply contact us for a returns number and send your item to our returns centre for fast processing. We'll get you a replacement or refund in a snap!
Description
EKKO_Project™ GPR Software - Core Bundle
Core module: Organize GPR Data & Report Insights
Our Core software enables efficient and intuitive review of GPR data, archiving of findings for future reference, and generation of insightful reports from powerful user-generated images.
Organize your GPR data, view results from different perspectives, and document your findings in meaningful outputs
|
![]() |
|---|
| View and animate depth slices processed in the field in the MapView window. | ![]() |
|---|
|
GPZ Files: GPR data organization made easier – get right to data analysis because everything you need from your GPR project (GPR data, GPS, field screenshots, data images generated by EKKO_Project, photos, survey information) is saved in one single project (GPZ) file. Saving and archiving data could not be easier! |
|---|
| View field interpretations added during data collection in the MapView window | ![]() |
|---|
New V6 R2 FeatureWhile scrolling through depth slices, add MapView Interpretations to linear targets. |
|---|
| Use EKKO_Project to generate data images and save them to the project GPZ file. Then it is simple to combine screenshots, attach photos and saved data images into a GPR Summary report to create a record, in PDF format, of your GPR survey. Data can also other formats (kmz, dxf, PDF and CSV). | ![]() |
|---|
| Google Earth KMZ file that overlays layers of data on the Google Earth image of the survey site:
|
![]() |
|---|
| Spreadsheet CSV of positions and statistics of interpreted GPR targets for further data analysis. | ![]() |
|---|
| CAD DXF files to import interpreted GPR targets into AutoCAD or GIS software. | ![]() |
|---|
| Attach photos, videos, field notes and any other files to your GPR project. This provides an easy way to transfer field notes into an electronic database with your GPR data and provides a complete archive of your results, allowing you to use all the information at your fingertips when analyzing your data. | ![]() |
|---|
| 3D Preview Scroll through grid lines and depth slices together to better understand subsurface targets. | ![]() |
|---|
| Save 3D preview images as a GIF animation file. Animations can be used to help with spotting features in your data, as a marketing tool or as a wow factor in your deliverables. | ![]() |
|---|
![]() |
|---|
| PhotoSlicer allows users to quickly and easily overlay a depth slice image on a photo. This creates stunning visualization of GPR data and is a great addition to any report. | ![]() |
|---|
![]() |
|---|
| For various reasons, GPR grid data often needs to be edited; whether you want to merge multiple grids collected over a large area into one large grid for data processing, combine parallel Line Scans into a grid for SliceView-Grid processing, or correct a mistake made during field collection. | ![]() |
|---|
Grid Editing
Whether you want to merge multiple grids collected over a large area into one large grid for data processing or combine parallel Line Scans into a grid for SliceView-Grid processing, or perhaps you need to correct a mistake made during field collection. You can now do so quickly in EKKO_Project. By combining your data into grids, you can make use of SliceView data visualization tools.
| Geo-reference data: Add global coordinates to project data collected without GPS. | ![]() |
|---|
| Export GPR lines to other formats to open in other software: Point Cloud, DT1 and HD, SEG-Y, Text. | ![]() |
|---|
| Average Trace Amplitude (ATA) Plots provide a powerful tool for:
|
![]() |
|---|
| Average Frequency Spectrum (AFS) plots show the GPR frequency content and signal bandwidth.
|
![]() |
|---|
| Trace Plots show individual GPR traces (A Scans).
|
![]() |
|---|
Included in Examine, Reveal, 3D Reveal, Suite, and 3D Suite Bundles
Shipping
| Shipping | This item ships to |
Delivery & Returns
Please allow 2 - 10 days for your order to arrive.
Although Most Stocked Products will generally Ship Overnight. We source products from all over the world to bring you epic offers and the lowest prices. This means sometimes you have to wait a little longer to get your order but it's always worth it!
Returns are easy.
simply contact us for a returns number and send your item to our returns centre for fast processing. We'll get you a replacement or refund in a snap!
6 Great reasons to buy from us:
-
30 Days Return
If your product is faulty or damaged under manufacture warranty, simply send it back to us and we'll cheerfully replace it or fix the problem for you. -
Returns are Easy
Simply contact us for a returns number and send your item to our returns centre for fast processing. We'll get you a replacement or refund in a snap! -
Best Price Guarantee
In the unlikely event that you find your item cheaper at another online store, just let us know and we'll beat the competitor's pricing hands-down. -
We guarantee your satisfaction
We insist that you love everything you buy from us. If you're unhappy for any reason whatsoever, just let us know and we'll bend over backwards to make things right again. -
100% Safe & Secure
Ordering from Laserman Technologies is 100% safe and secure so you can rest easy. Your personal details are never shared, sold or rented to anyone either. -
Best Laser Warranties in the Business
Laserman the Best Laser Level, Pipe Laser and Laser Measuring Warranties in the Business - Now thats unbeatable value !!.


















